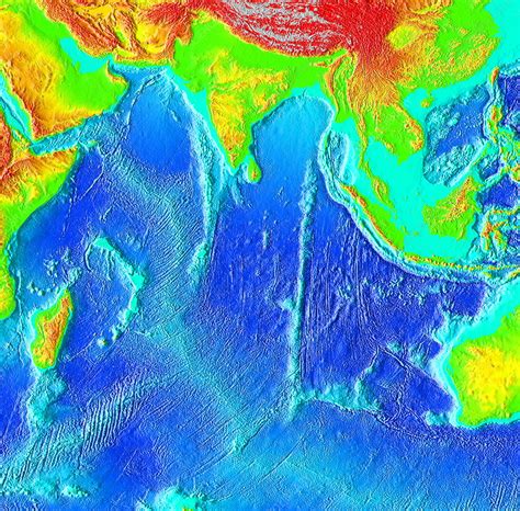
Indian Ocean Depth Map

WOCE Atlas Volume 4 Indian Ocean
WOCE Atlas Volume 4 Indian Ocean from sam.ucsd.edu

Introduction

The Indian Ocean is the third-largest ocean in the world, covering a vast area of approximately 20% of the Earth’s surface. It is located between Africa, Asia, Australia, and Antarctica, and is known for its rich marine biodiversity and diverse cultures. However, what lies beneath the surface of this great ocean remains a mystery to many. In this article, we will dive into the depths of the Indian Ocean and explore its fascinating depth map.

The Indian Ocean Depth Map

The Indian Ocean is characterized by its varied topography, which includes vast plateaus, deep trenches, and underwater mountains. The ocean’s depth ranges from shallow continental shelves to deep basins that can reach depths of over 7,500 meters. The Indian Ocean’s deepest point is the Java Trench, which is located in the eastern Indian Ocean and has a maximum depth of 7,450 meters.

The Continental Shelves

The continental shelves are the shallowest parts of the Indian Ocean, ranging from the coastline to a depth of around 200 meters. They are home to a wide variety of marine life, including coral reefs, fish, and other invertebrates. The continental shelves are also important for commercial fishing, providing a vital source of food for people living along the coastlines.

The Oceanic Zones

Beyond the continental shelves, the Indian Ocean is divided into three main oceanic zones: the continental slope, the abyssal plain, and the deep-sea trenches. The continental slope is the area where the continental shelf drops off into the deeper ocean. It is characterized by steep slopes and canyons, and is home to a variety of marine life, including whales, dolphins, and sharks.

The abyssal plain is the vast, flat area that makes up most of the ocean floor. It is covered in a layer of sediment and is home to a variety of creatures, including deep-sea fish, crabs, and sea cucumbers. The deep-sea trenches are the deepest parts of the Indian Ocean, and are home to some of the most bizarre creatures on Earth, including giant squid and anglerfish.

Exploring the Indian Ocean’s Depths

Exploring the depths of the Indian Ocean is a challenging task, but one that is essential for understanding the ocean’s ecosystems and geology. Scientists use a variety of tools and techniques to explore the ocean floor, including sonar, remote-controlled vehicles, and submersibles.

One of the most important discoveries made in recent years is the presence of underwater volcanoes and hydrothermal vents. These vents are hot springs that spew out mineral-rich water, which supports a unique ecosystem of organisms that are adapted to live in extreme conditions.

Conclusion

The Indian Ocean is a vast and complex ecosystem that is home to a wide variety of marine life. Its depth map provides valuable insights into the ocean’s geology and ecology, and is an important tool for understanding the ocean’s role in the global climate system. As we continue to explore the Indian Ocean’s depths, we are sure to make many more exciting discoveries that will help us better understand this incredible ocean.